Официальное опубликование правовых актов
ОФИЦИАЛЬНОЕ ОПУБЛИКОВАНИЕ
Приказ Министерства природных ресурсов, экологии и туризма Республики Алтай от 01.10.2021 № 568
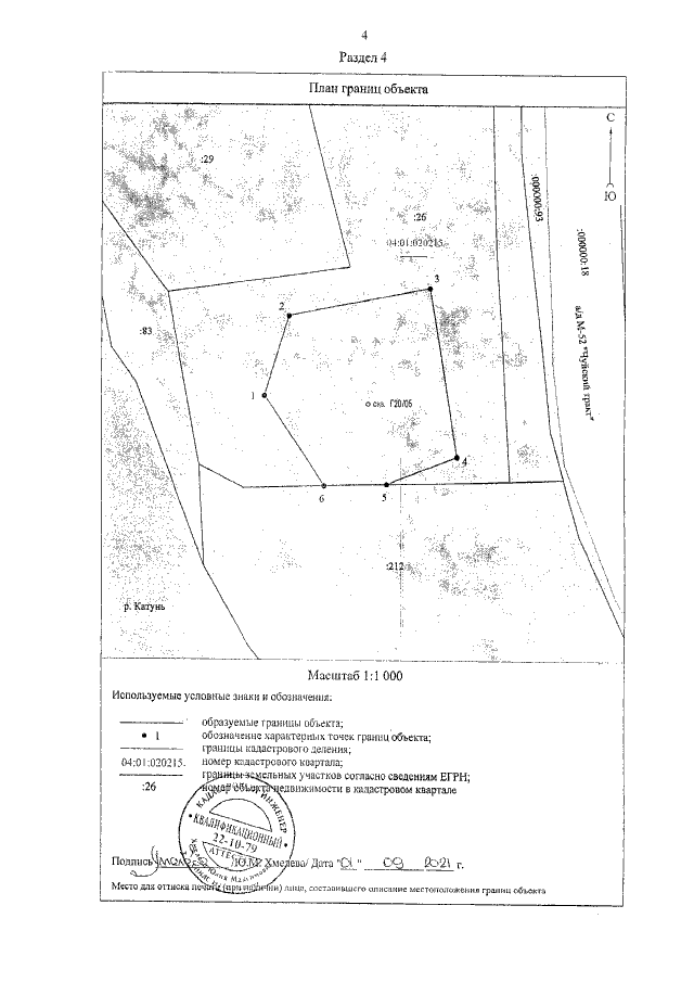
"Об установлении зон санитарной охраны действующего водозабора подземных вод Общества с ограниченной ответственностью "Берег Катуни" в Майминском районе Республики Алтай"
Номер опубликования: 0401202110040010
Дата опубликования: 04.10.2021
Страница №4 из 12:
Увеличить