Приказ Министерства природных ресурсов, экологии и туризма Республики Алтай от 01.10.2021 № 568
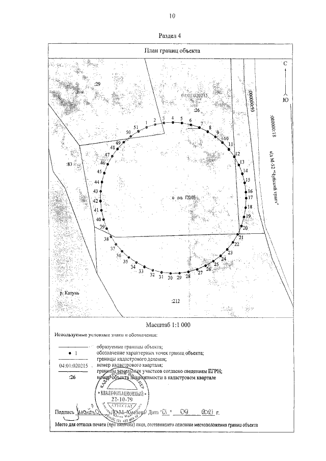
"Об установлении зон санитарной охраны действующего водозабора подземных вод Общества с ограниченной ответственностью "Берег Катуни" в Майминском районе Республики Алтай"
"Об установлении зон санитарной охраны действующего водозабора подземных вод Общества с ограниченной ответственностью "Берег Катуни" в Майминском районе Республики Алтай"
Номер опубликования: 0401202110040010
Дата опубликования:
04.10.2021
