Официальное опубликование правовых актов
ОФИЦИАЛЬНОЕ ОПУБЛИКОВАНИЕ
Приказ Администрации Главы Республики Бурятия и Правительства Республики Бурятия от 09.03.2022 № 154д
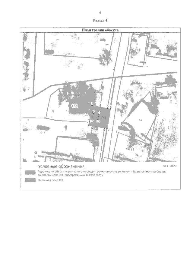
"Об утверждении границ зон охраны объектов культурного наследия регионального значения, расположенных в Бичурском и Кяхтинском районах Республики Бурятия, режимов использования земель и требований к градостроительным регламентам в границах данных зон"
(Зарегистрирован 14.03.2022 № 032022071)
Номер опубликования: 0301202203170004
Дата опубликования: 17.03.2022
Страница №8 из 20:
Увеличить