Официальное опубликование правовых актов
ОФИЦИАЛЬНОЕ ОПУБЛИКОВАНИЕ
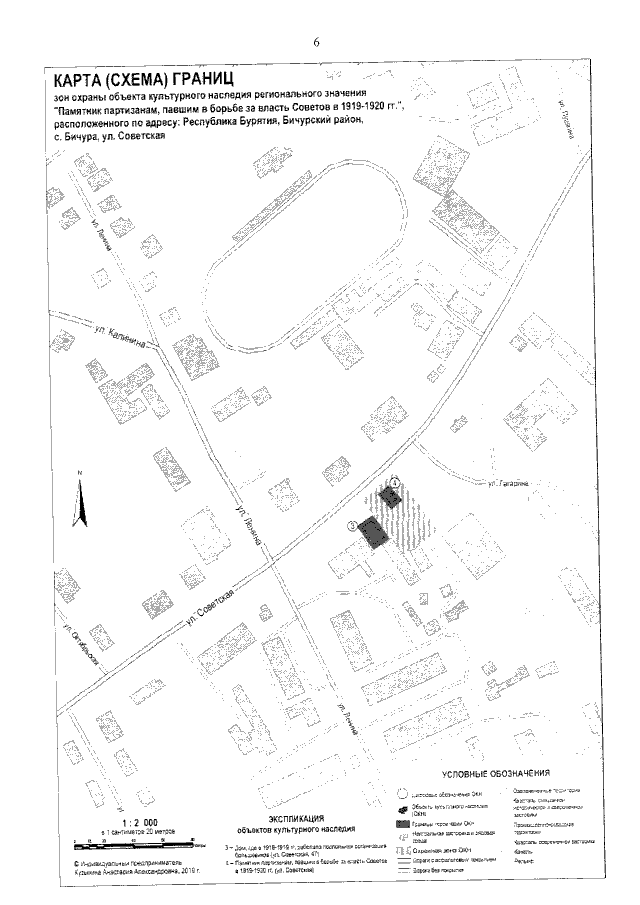
Приказ Администрации Главы Республики Бурятия и Правительства Республики Бурятия от 30.06.2021 № 261д
"Об утверждении границ зон охраны объекта культурного наследия регионального значения "Памятник партизанам, павшим в борьбе за власть Советов в 1919-1920 гг.", расположенного по ул. Советская в с. Бичура Бичурского района Республики Бурятия, режимов использования земель и требований к градостроительным регламентам в границах данных зон"
(Зарегистрирован 16.07.2021 № 032021253)
Номер опубликования: 0301202107220001
Дата опубликования: 22.07.2021
Страница №6 из 7:
Увеличить