Официальное опубликование правовых актов
ОФИЦИАЛЬНОЕ ОПУБЛИКОВАНИЕ
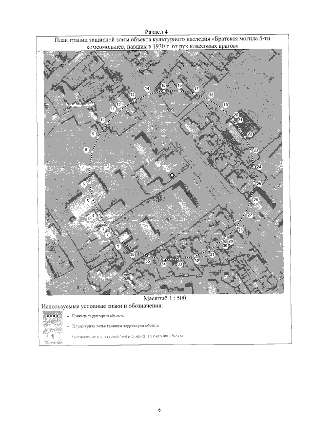
Приказ Администрации Главы Республики Бурятия и Правительства Республики Бурятия от 12.03.2020 № 112д
"Об утверждении графического описания местоположения границ защитных зон объектов культурного наследия регионального значения, расположенных в Мухоршибирском районе Республики Бурятия"
(Зарегистрирован 17.03.2020 № 032020096)
Номер опубликования: 0301202003230002
Дата опубликования: 23.03.2020
Страница №7 из 34:
Увеличить